Jeder, der es schon mal gesehen hat, schwärmt davon – das, was man auf seiner Australien Reise unbedingt machen müsse – ohne Zweifel eines der schönsten Dinge, die man je erleben werde: Schnorcheln am Great Barrier Reef. Ganz klar also, dass auch wir das machen mussten.
Doch das Angebot von verschiedenen Organisatoren und Touren ist imens. Verschiedenste Anbieter bieten Halbtages- oder Ganztagesausflüge zu verschiedensten Teilen des Great Barrier Reefs an und alle umfassen etwa das Gleiche und unterscheiden sich auch im Preis nicht sonderlich von einander. Wie also, soll man sich für eine Tour entscheiden. Wie stellt man sicher, dass man nicht mit 100 anderen Touristen abgefertigt wird und wo sieht man am Meisten? Diese Fragen haben auch wir uns gestellt und wir haben nicht wirklich eine abschliessende Antwort gefunden. Nachdem wir alle Touren ausgiebig im Internet verglichen hatten, haben wir uns am zweiten Tag dann auf nach Port Douglas gemacht, um uns im Touristenbüro über die verschiedenen Optionen zu informieren. In meinem Reiseführer hatte ich schon gelesen, dass das Wasser am Outer Reef, also am äussersten Rand der australischen Kontinentalplatte, am klarsten sei. Dies bestätigte auch die nette Dame, die uns im Touristenbüro beriet. Da wir aber schon am nächsten Tag, also dem Sonntag, auf die Tour gehen wollten, wurde uns die Entscheidung, welchen Anbieter wir nehmen sollten, abgenommen, da alle ausser einer Tour, die laut Touristenbüro-Dame sowieso super sei, schon ausgebucht waren.
Am Sonntagmorgen in aller Frühe fanden wir uns dann am Hafen von Port Douglas ein. Wir verabschiedeten uns von unseren Camper, der leider nach wie vor namenlos war und machten uns auf die Suche nach dem Anmeldebüro von unserem Tour-Organisator. Wir freuten uns beide riesig auf den Trip und konnten es kaum abwarten endlich an Board unseres Schiffes, der Poseidon, gehen zu können.
Nach einer ca. eineinhalbstündigen Fahrt, bei strahlend schönem Wetter und mit viel Wind in den Haaren, erreichten wir schliesslich das erste Reef. Auf der Hinfahrt hatten wir vom Schiff aus immer wieder verschiedene Riffe gesehen und konnten es deshalb kaum mehr abwarten, die Unterwasserwelt des Great Barrier Reefs endlich selbst zu entdecken. Mit Schwimmflossen, Taucherbrille und Schnorchel ausgestattet, stürzten wir uns in die Fluten und waren sofort hin und weg.
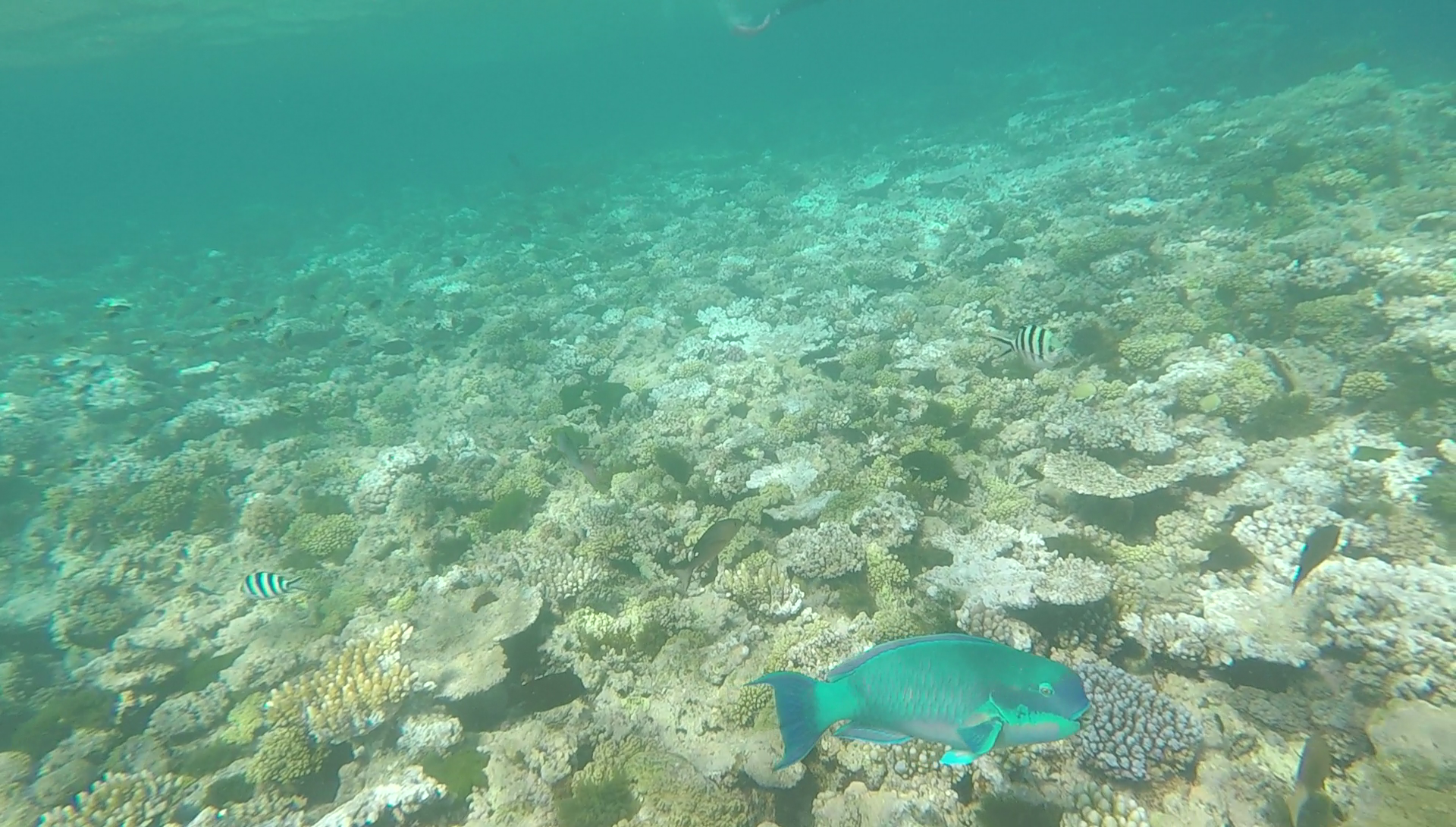
Das „Phil’s Reef“ bot super klares Wasser und viele verschiedene Fisch- und Korallenarten, die es zu entdecken galt. Beim Sicherheitsbreefing hatten die Guides uns erklärt, dass wir uns einen Schnorchel-Buddy suchen sollten, mit dem wir zusammen auf unterwegs gehen konnten, sodass wir einander helfen konnten, wenn jemand in Schwierigkeiten geriet. Klar, dass Silencio und ich Schnorchel-Buddys waren. Es stellte sich aber schon bald heraus, dass es gar nicht so einfach war beieinander zu bleiben, bei all den farbigen Fisch, Fischli und Fischlilis. Hatte man seinen Schnorchel-Buddy hingegen ersteinmal verloren, war es noch viel schwieriger, sich wiederzufinden, denn dank den geliehenen Lycra Schwimmanzügen und den sehr ähnlich aussehenden Flossen und Brillen, sahen alle fast gleich aus. Ich verlor Silencio nur einmal kurz aus dem Blick und suchte danach über zehn Minuten nach ihm, da das einzige, was ich wusste war, dass er blaue Flossen und eine gelbe Taucherbrille anhatte, wie gefühlt jeder dem ich über den Weg schwamm und es passierte mir mindestens zweimal, dass ich einem Wildfremden folgte und ihm aufgeregt verschiedene Fische und Korallen zeigte.
Nach dem Mittagessen, ging es weiter zum zweiten Riff, den „Three Sisters“ und ein bisschen später zum dritten und letzten Stop des Tages, dem „The Point“ Reef. Dieses Riff war ganz besonders interessant, denn es lag genau am Rand der Kontinentalplatte und man konnte vom Schiff aus sehen, wo der Bruch war und es 2000 Meter in die Tiefe ging. Dabei überraschte mich besonders, dass sich an diesem unterirdischen Abgrund die Wellen brachen und man so in beide Richtungen bis in weiter Ferne diese tektonische Grenze bewundern konnte.
Gegen vier Uhr machten wir uns auf die Rückfahrt nach Port Douglas und wir waren, obgleich todmüde, super glücklich. Die drei Riffe, die wir besucht hatten, waren alle wunderschön. Jedes Reef wartete mit neuen Fisch- und Korallenarten auf und überall gab es Neues zu entdecken. Ein bisschen traurig waren wir zwar, dass wir keine Schildkröte gesehen hatten, doch die Tatsache, dass wir wenigstens eine kleine Nemo-Familie und viele andere Schönheiten entdeckt haben, tröstete uns ein bisschen darüber hinweg.
So ging ein weiterer toller Tag in Down Under zu Ende und wir sind gespannt, was für neue Abenteuer uns noch erwarten werden.










































Scho toll was du alles erlebe dörfsch !! Ich freu mi richtig für dich !! Ich weiss, dass das Riff und diä bunte Fisch in Natura viel schöner sind, als mers jezt uf dä Fotis gseht !
Liebi Grüessli und wieter tolli Ferie
Vreni
Das isch eso, die GoPro Bilder sind nie s’gliiche, wies in Würklichkeit gsi isch, aber immerhin het mer e chlini Erinnerig dra.
Liebi Grüessli zrugg
Sabrina
Unglaublich faszinierend, liebi Sabrina, unglaublich idrücklich, eifach toll!!!! Jede, wo scho mol isch go schnorchle, weiss, wiä so ganz anders diä Welt isch, wo mer itaucht, sobald mer under Wasser isch. Und wenn no niä bisch go schnorchle, denn chan mer wohl diä Föteli gnüsse, aber das Gfühl, das mer hät, wenn mer i diä Unterwasserwelt itaucht, chan mer nur nach vollzieh. wenn mer scho gschnorchlet hät. Ich bin jo mit de Vrene und de Priska go schnorchle im Rote Meer; es isch nöd mit Worte zbeschriebe, was für Idrück mer so im Meer erlebt. Diä Rueh, diä ganz spezielle Atmosphäre, diä so ganz anderi Welt, es isch eifach nur schöööööön!!! Jetzt wünsch ich dir witerhin super Täg voll mit ussergwöhnliche, unvergessliche Idrück !!
Ganz en liebi Umarmig
dis Gotti
Jah, es isch absolut so! Mer chans würkli ned beschriebe, aber es isch wunderschön!!
Mir sind denn ungfähr e Wuche spöter nomal go schnorchle, vill nöcher am Festland zuene und es isch au mega gsi, aber niemals so klar wie bim erste Mal.
Liebi Umarmig
Sabrina